Luca D'Onofrio 338/466.09.87
Italiano

Doppio Appartamento in villa con giardino privato e veranda coperta a Lecce


270.000 €
223 m2
5 Camere
2 Bagni
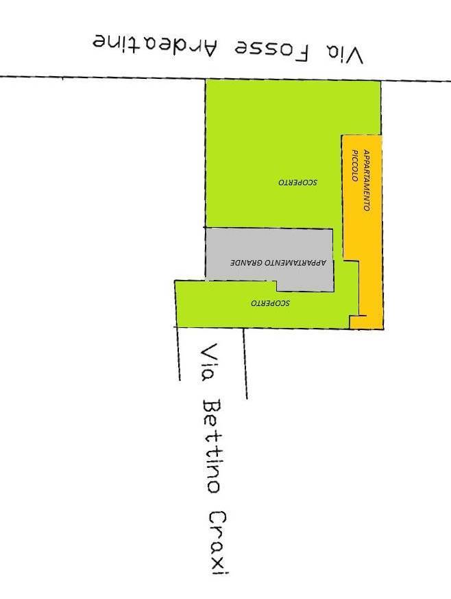
Vendita di due abitazioni site in Lecce, via Bettino Craxi 8.

Proponiamo in vendita due abitazioni situate in Lecce, alla via Bettino Craxi 8, entrambe al piano terra e inserite all’interno di un lotto di terreno di circa 530 mq.
Le due unità vengono vendute insieme e rappresentano una soluzione ideale per due nuclei familiari, per chi desidera una dependance indipendente o per chi è alla ricerca di un interessante investimento immobiliare.

Il prezzo richiesto per entrambe le abitazioni è di complessivi Euro 270.000.

📞 Contattaci per maggiori informazioni o per visitare gli immobili

🏠 Abitazione principale
L’immobile ha una superficie catastale complessiva di circa 131 mq, di cui 123 mq escluse le aree scoperte ed è composto da:
• Ingresso
• Disimpegno
• Sala da pranzo
• Cucinotto
• Lavanderia
• Corridoio che conduce alla zona notte
• Tre camere da letto
• Bagno
• Ampia veranda coperta
Questa abitazione necessita di una ristrutturazione generale, con possibilità di personalizzare completamente gli spazi secondo le proprie esigenze.

🏠 Dependance
La seconda unità ha una superficie catastale complessiva di circa 92 mq ed è composta da:
• Ingresso
• Cucina
• Soggiorno/pranzo con camino
• Disimpegno
• Lavanderia
• Due camere da letto
• Bagno
Questa seconda abitazione si presenta in discrete condizioni generali e necessita esclusivamente di interventi di manutenzione ordinaria.

Gli immobili dispongono di un doppio accesso:
• pedonale da Via Bettino Craxi 8;
• carrabile da Via delle Fosse Ardeatine n. 14, tramite un ampio cancello scorrevole che consente l’ingresso agevole di più autovetture.

📍 Perché scegliere questa soluzione?
• Due abitazioni nello stesso contesto
• Lotto complessivo di circa 500 mq
• Area solare di proprietà, con possibilità di installare pannelli fotovoltaici e solare termico
• Ideale per due famiglie
• Ottima opportunità di investimento
• Zona residenziale tranquilla e ben collegata

📧 Per ulteriori dettagli, informazioni sui prezzi o per prenotare una visita:
📱 Tel: 338.466.09.87
📩 Email: agenziadonofrio@gmail.com
🌐 Sito Web: www.agenziadonofrio.eu
Caratteristiche principali
Codice
V000947
Città
Lecce
Categoria
Villa
Locali
12
Camere
5
Bagni
2
Mq
223
Piano
Terra
Classe energetica
G
Stato Immobile
Da Ristrutturare
Grado
Medio
Giardino
Privato
Mappa
Via Bettino Craxi 8, Lecce (LE)
Video
Planimetrie
PLANIMETRIA APPARTAMENTO GRANDE
PLANIMETRIA APPARTAMENTO PICCOLO
Photo 47
Cookie preference